Erlass einer Veränderungssperre gemäß Gemeinderatsbeschluss vom 17.03.2026 für den Geltungsbereich der Änderung des Bebauungsplans „Am Gänsbühl“ im Bereich der Fl. Nrn. 1293/2, 1293/3 und 1293/4, alle Gemarkung Seybothenreuth; Amtliche Bekanntmachung
Der Gemeinderat Seybothenreuth hat in seiner Sitzung am 17.03.2026 zur Sicherung der Planungsabsichten der Änderung des Bebauungsplans „Am Gänsbühl“ im Bereich der Fl. Nrn. 1293/2, 1293/3 und 1293/4, alle Gemarkung Seybothenreuth eine Veränderungssperre als Satzung beschlossen. Die Satzung tritt am Tage ihrer Bekanntmachung in Kraft.
Folgende Satzung wurde beschlossen:
Die Gemeinde Seybothenreuth erlässt auf Grund der §§ 14, 16 und 17 des Baugesetzbuches (BauGB) i. d. F. der Bekanntmachung vom 03.11.2017 (BGBI. I S. 3634), das zuletzt durch Artikel 5 des Gesetzes vom 22. Dezember 2025 (BGBl. 2025 I Nr. 348) geändert worden ist, i. V. m. Art. 23 Gemeindeordnung (GO) in der Fassung der Bekanntmachung vom 22. August 1998 (GVBl. S. 796, 797, BayRS 2020-1-1-I), die zuletzt durch § 1 des Gesetzes vom 23. Dezember 2025 (GVBl. S. 637) folgende
Satzung über eine Veränderungssperre
§ 1 Zu sichernde Planung
Der Gemeinderat hat in seiner Sitzung vom 17.03.2026 beschlossen den Bebauungsplan „Am Gänsbühl“ im Bereich der Fl. Nrn. 1293/2, 1293/3 und 1293/4, alle Gemarkung Seybothenreuth, zu ändern. Zur Sicherung der Planung für dieses Gebiet wird eine Veränderungssperre gemäß § 14 Abs. 1 BauGB erlassen.
§ 2 Räumlicher Geltungsbereich
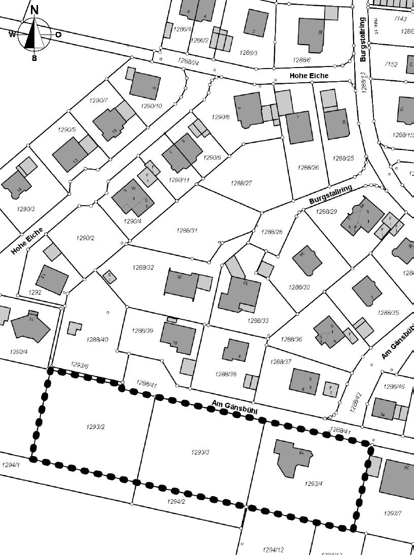
Die Veränderungssperre erstreckt sich auf die Grundstücke mit den Fl. Nrn. 1293/2, 1293/3 und 1293/4, alle Gemarkung Seybothenreuth, welche sich innerhalb des Geltungsbereichs der Änderung des Bebauungsplans „Am Gänsbühl“ befinden. Der räumliche Geltungsbereich der Veränderungssperre ergibt sich aus der Karte, die als Anlage der Veränderungssperre Bestandteil der Satzung ist.
§ 3 Inhalt und Rechtswirkungen der Veränderungssperre
In dem räumlichen Geltungsbereich der Veränderungssperre dürfen:
1. Vorhaben im Sinne des § 29 BauGB nicht durchgeführt und bauliche Anlagen nicht beseitigt werden; Vorhaben im Sinne des § 29 BauGB sind:
a) Vorhaben, die die Errichtung, Änderung oder Nutzungsänderung von baulichen Anlagen zum Inhalt haben, und
b) Aufschüttungen und Abgrabungen größeren Umfangs sowie Ausschachtungen, Ablagerungen einschließlich Lagerstätten;
2. Erhebliche oder wesentlich wertsteigernde Veränderungen von Grundstücken und baulichen Anlagen, deren Veränderungen nicht genehmigungs-, zustimmungs- oder anzeigepflichtig sind, nicht vorgenommen werden.
Wenn überwiegende öffentliche Belange nicht entgegenstehen, kann von der Veränderungssperre nach § 14 Abs. 2 BauGB eine Ausnahme zugelassen werden. Die Entscheidung hierüber trifft die Baugenehmigungsbehörde im Einvernehmen mit der Gemeinde.
Vorhaben, die vor dem Inkrafttreten der Veränderungssperre baurechtlich genehmigt worden sind, Vorhaben, von denen die Gemeinde nach Maßgabe des Bauordnungsrechts Kenntnis erlangt hat und mit deren Ausführung vor dem Inkrafttreten der Veränderungssperre hätte begonnen werden dürfen, sowie Unterhaltsarbeiten und die Fortführung einer bisher ausgeübten Nutzung werden von der Veränderungssperre nicht berührt.
§ 4 Inkrafttreten und Außerkrafttreten der Veränderungssperre
Die Veränderungssperre tritt mit der ortüblichen Bekanntmachung des Satzungsbeschlusses in Kraft. Sie tritt nach Ablauf von zwei Jahren, vom Tage der Bekanntmachung gerechnet, außer Kraft. Auf die Zweijahresfrist ist der seit Zustellung der ersten Zurückstellung eines Baugesuchs nach § 15 BauGB abgelaufene Zeitraum anzurechnen. Die Veränderungssperre tritt in jedem Fall außer Kraft, sobald und soweit die Bauleitplanung für das in § 2 genannte Gebiet rechtsverbindlich abgeschlossen ist.
Hinweis:
Auf die Vorschriften des § 18 Abs. 2 Satz 2 und 3 BauGB über die Geltendmachung etwaiger Entschädigungsansprüche für eingetretene Vermögensnachteile durch die Veränderungssperre nach § 18 und des § 18 Abs. 3 über das Erlöschen der Entschädigungsansprüche bei nicht fristgemäßer Geltendmachung wird hingewiesen.
Seybothenreuth, den 18.03.2026
gez.Reinhard Preißinger
Erster Bürgermeister
Gemeinde Seybothenreuth
Geltungsbereich der Veränderungssperre = Geltungsbreich der Änderung des Bebauungsplans „Am Gänsbühl“ gemäß Aufstellungsbeschluss vom 17.03.2026:

Nicht maßstabsgetreu
[Ende der Satzung]
Die Gemeinde Seybothenreuth hält ab Veröffentlichung dieser Bekanntmachung die Satzung über die Veränderungssperre während der Geltungsdauer in der Bauverwaltung der Verwaltungsgemeinschaft Weidenberg, Rathausplatz 2, 95466 Weidenberg, zu den allgemeinen Dienststunden (Montag – Freitag 08:00 – 12:00 Uhr, Mittwoch 13:30 - 16:00 Uhr, sowie nach Terminvereinbarung) zu jedermanns Einsicht bereit. Über den Inhalt wird auf Verlangen Auskunft erteilt.
Auf die Voraussetzungen für Entschädigungsgespräche, die Geltendmachung und das Erlöschen solcher Ansprüche gemäß § 18 BauGB wird hingewiesen.
Seybothenreuth, 19.03.2026
Reinhard Preißinger
Erster Bürgermeister
Gemeinde Seybothenreuth